Seite: Datenübernahme Formular Persönliche Sicht
Auf der Seite „Datenübernahme Formular Persönliche Sicht“ werden die Angaben, die der Mensch mit Behinderung im Formular Persönliche Sicht gemacht hat, 1:1 eingetragen. Die eingetragenen Angaben werden automatisiert in die folgenden Seiten des Gesprächsleitfadens übertragen.
Erklärvideo
Ansichtsversion
Diese Ansichtsversion zeigt, wie eine ausgefüllte Seite „Datenübernahme Formular Persönliche Sicht“ des BEI_NRW aussehen kann und enthält gleichzeitig fachliche Erläuterungen.
Bearbeitung in PerSEH
Hier finden Sie eine Schritt-für-Schritt Anleitung für diese konkrete Seite in PerSEH.
Freitextfelder können sowohl in Fließtext, als auch in Stichpunkten gefüllt werden. Ausschlaggebend ist, dass die Situation und der Bedarf der leistungsberechtigten Person verständlich dargestellt werden. In der Gesamtsicht auf das BEI_NRW stellt sich der Bedarf aus dem Zusammenspiel von Aktivitäten und Teilhabe, Kontextfaktoren, Persönlichen Zielen, konkreten Teilhabezielen und Maßnahmen dar.
Auf der Seite „Datenübernahme Formular Persönliche Sicht“ werden die Angaben, die der Mensch mit Behinderung im Formular Persönliche Sicht gemacht hat, 1:1 eingetragen. Sollte kein Formular Persönliche Sicht im Vorfeld vorliegen, kann diese zu Beginn des persönlichen Gespräches ausgefüllt werden. Hierbei sind die Äußerungen der leistungsberechtigten Person wortwörtlich zu dokumentieren.
Wichtig: Sollten sich im persönlichen Gespräch Änderungen oder zusätzliche Angaben zu Themen der Persönlichen Sicht ergeben, werden diese auf den Seiten „Persönliche Ziele“, „Kontextfaktoren“ und „Aktivitäten und Teilhabe, Teilhabeziele“ in den Freitextfeldern „Dokumentation im Gespräch“ eingetragen.
1 Personenbezogene Daten I
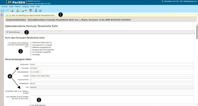
In der Meldungszeile (1) ist der Hinweis „Hier nur Übertrag aus dem Formular Persönliche Sicht“ eingeblendet. Das aufklappbare Beschreibungsfeld (2) enthält Hinweise zur Nutzung der Seite „Datenübernahme Formular Persönliche Sicht“ und enthält einen Link auf die Internetseite mit weiterführenden Informationen. In dem Abschnitt (3) „Form des Formulars Persönliche Sicht“ wird in den Checkboxen angeklickt, in welcher Form das von der leistungsberechtigten Person ausgefüllte Formular Persönliche Sicht vorliegt. Sollte kein Formular Persönliche Sicht vorliegen, ist das auch anzugeben. Es besteht die Möglichkeit die Persönliche Sicht im gemeinsamen Gespräch auszufüllen. Sollte die Persönliche Sicht (zusätzlich) als Bild vorliegen kann dies auch angegeben werden. Eine Übersetzung des Bildes für die Seite „Datenübernahme Formular Persönliche Sicht“ ist nicht erforderlich. Der Abschnitt „Personenbezogene Daten besteht aus Formularblöcken. Unter (4) werden die Daten zur Person automatisch von den Stammdaten übertragen. Sollten im Formular Persönliche Sicht andere Daten aufgeschrieben worden sein, sind diese auf der Seite „Datenübernahme Formular Persönliche Sicht“ zu ändern. In dem Freitextfeld (5) mit dem Label „Aus welchem Grund wenden Sie sich an den LWL“ kann die leistungsberechtigte Person äußern, warum und welche Unterstützung sie weiterhin benötigt.
2 Personenbezogene Daten II
In die Formularblöcke zu den Themen „Wohnen“ (1) und „Tagesgestaltung“ (2) werden die Angaben aus dem Formular Persönliche Sicht 1:1 übertragen.
3 Persönliche Ziele
Das aufklappbare Beschreibungsfeld (1) enthält Hinweise zu den Persönlichen Zielen und enthält einen Link auf die Internetseite mit weiterführenden Informationen. In die Freitextfelder (2) werden die Angaben aus dem Formular Persönliche Sicht 1:1 übertragen. In den Tooltips (3) sind Beispiele für die Persönlichen Ziele vermerkt.
4 Kontextfaktoren
Das aufklappbare Beschreibungsfeld (1) enthält allgemeine Hinweise zu den Kontextfaktoren und enthält einen Link auf die Internetseite mit weiterführenden Informationen. Die aufklappbaren Beschreibungsfelder (2) enthalten Beispiele für die einzelnen Kontextfaktoren. In die Freitextfelder (3) werden die Angaben aus dem Formular Persönliche Sicht 1:1 übertragen.
5 Aktivitäten und Teilhabe
Das aufklappbare Beschreibungsfeld (1) enthält allgemeine Hinweise zu den Aktivitäten und Teilhabe und enthält einen Link auf die Internetseite mit weiterführenden Informationen. Die aufklappbaren Beschreibungsfelder (2) enthalten Hinweise und Beispielfragen zu den einzelnen drei Bereichen der Aktivitäten und Teilhabe. In die Freitextfelder (3) werden die Angaben aus dem Formular Persönliche Sicht 1:1 übertragen.
6 Weitere Angaben
Das aufklappbare Beschreibungsfeld (1) enthält Hinweise zur Dokumentation und dem Einbezug der leistungsberechtigten Person bei dem Punkt „Weitere Angaben“. Die Angaben zu dem Ausfüllen des Formulars Persönliche Sicht (2), wer unterstützt hat und an wer zum persönlichen Gespräch eingeladen werden soll (4), werden aus dem Formular Persönliche Sicht 1:1 übertragen. Sollte die Seite „Datenübernahme Formular Persönliche Sicht“ im Gespräch ausgefüllt werden, ist erfolgte Unterstützung oder selbstständiges Eintragen (2) einzutragen. Im Datumsfeld (5) wird das Datum eingetragen, an dem die Persönliche Sicht von der leistungsberechtigten Person ausgefüllt wurde.
7 Popup-Fenster nach Speichern
Wenn die Seite „Datenübernahme Formular Persönliche Sicht“ gespeichert wird, erscheint immer das Popup-Fenster (1) „Achtung Datenübertragung“. Dieses weist darauf hin, dass durch das Speichern eine Datenübertragung auf die Seiten „Persönliche Ziele“, „Kontextfaktoren“ und „Aktivitäten und Teilhabe, Teilhabeziele“ erfolgt und die dort gespeicherten Daten in den Feldern „Übertrag Persönliche Sicht“ überschreibt. Das Speichern muss aktiv mit dem Button „Speichern und überschreiben“ bestätigt werden. Dieses dient der Absicherung, dass nicht ausversehen Änderungen auf der Seite „Datenübernahme Formular Persönliche Sicht“ getätigt wurden, die eigentlich auf den anderen Seiten hätten erfolgen sollen.
Haben Sie die gesuchte Information nicht gefunden?
Dann melden Sie sich gerne bei uns unter der unten genannten E-Mail-Adresse. Rückmeldungen oder Anregungen zu den Inhalten auf dieser Seite nehmen wir ebenfalls gerne entgegen.
Weiterführende Informationen
Das Formular „Persönliche Sicht“ im BEI_NRW 3.0
Zur Vorbereitung auf das Gespräch nutzt der Mensch mit Behinderung in der Regel das Formular „Persönliche Sicht“. Im BEI_NRW 3.0 haben das Formular „Persönliche Sicht“ und die Darstellung in PerSEH die gleiche Struktur. Auf der neu eingefügten Seite „Datenübernahme Formular Persönliche Sicht“ ist das Formular 1:1 abgebildet. Die Angaben des Menschen mit Behinderung werden vom Formular in die Seite in PerSEH eingetragen. Von dieser Seite aus erfolgt ein automatisierter Übertrag der Angaben in die folgenden Seiten des Gesprächsleitfadens.
Die Überschriften und Fragestellungen der folgenden Seiten im Gesprächsleitfaden in PerSEH (Persönliche Ziele, Kontextfaktoren, Aktivitäten und Teilhabe, Teilhabeziele) sind identisch mit denen im Formular „Persönliche Sicht“. Auf diesen Seiten im Gesprächsleitfaden werden die Angaben des Menschen mit Behinderung aus dem Formular "Persönliche Sicht" angezeigt und dienen als Orientierung für das gesamte Bedarfsermittlungsgespräch. Die Inhalte aus dem gemeinsamen Gespräch werden in separaten Feldern dokumentiert.
Sollte kein vorab ausgefülltes Formular: „Persönliche Sicht“ vorliegen, kann auf der Seite „Datenübernahme Formular Persönliche Sicht“ die Persönliche Sicht gemeinsam ausgefüllt werden.
Bildlich ausgefüllte Formulare der Persönlichen Sicht können als PDF direkt an den LWL gesendet oder über das Serviceportal hochgeladen werden.
Kontakt
Technische Probleme
Bei technischen Problemen mit den Verfahren PerSEH und LWL-Bena wenden Sie sich an den User Help Desk (UHD).
Tel: 0251 591-1880
Verwaltung von Administrator:innen
Bei Fragen zur Anlage, Änderung und Löschung von Administratorinnen und Administratoren wenden Sie sich an folgende E-Mail-Adresse.
Einzelfall
Bei Fragen zum Einzelfall (wie neuer Leistungserbringer, Leistungsberechtigte nicht angezeigt in PerSEH) wenden Sie sich an die Teilhabeplanung.
Fachliche Fragen
Bei grundsätzlichen fachlichen Fragen zum Bedarfsermittlungsinstrument BEI_NRW wenden Sie sich an das Team zur Weiterentwicklung des BEI_NRW.